Realizátor
Statutární město Prostějov
Rozpočet
24 196 865 Kč
Termín
červen 2026
Financování
rozpočet města
Priority
Životní prostředí,
Společnost a volnočasové aktivity
Popis
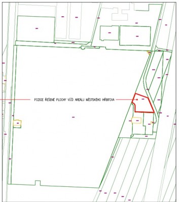
Město Prostějov připravuje od roku 2020 záměr na rozšíření urnových hrobů a kolumbárií na městském hřbitově v Prostějově na ul. Brněnská u východního (zadního) vchodu v místě, kde je nyní psí loučka. Tuto možnost zpracovala a v roce 2022 aktualizovala společnost CAD PROJEKT PLUS, s.r.o. z Prostějova.
Návrh řeší umístění urnových hrobů v parkové aleji, orámované oplocením s integrovanými kolumbárií. Počítáno je se vznikem 38 sekcí kolumbárií po 9 schránkách, tj. celkem 342 schránek a 9 sekcí urnových hrobů po 17 hrobech, tj. celkem 153 urnových hrobů.
Studie rovněž řeší materiálové provedení komunikačních ploch, návrh zeleně (stromů, keřové a popínavé zeleně), umístění mobiliáře, osvětlení apod. Kromě hlavního vstupu, který je umístěn ve stávající ohradní zdi, je uvažováno i s pracovním vstupem ze zázemí obřadní síně.
Koncem roku 2022 rada města schválila tento návrh. V aktualizované studii je zakomponován požadavek na zachování maximálního počtu vzrostlých stromů. Z celkových 25 stromů je 9 stromů zachováno.
Ze strany Národního památkového ústavu nebyly k záměru žádné výhrady.
Na hřbitově je aktuálně 621 urnových míst v kolumbáriích, z toho 54 míst bylo nově vybudováno v roce 2021 a dalších 90 schránek bylo vybudováno v loňském roce.
Před realizací je nutno mít zpracovanou projektovou dokumentaci, která by mohla být pořízena v roce 2023. V rozpočtu 2023 zatím nejsou vyčleněny finanční prostředky.
V dubnu a květnu 2023 bylo vyhlášeno výběrové řízení na vyhotovení projektové dokumentace pro společné územní rozhodnutí a stavební povolení a projektové dokumentace pro provádění stavby, včetně vizualizace a inženýrské činnosti. Pokladem pro zpracování PD je studie, ve které se mimo jiné řešilo vybudování nadzemních sekcí kolumbárií a podzemních urnových hrobů. Předpoklad zpracování PD - je do března 2024.
V červnu byla uzavřena smlouva o dílo se společností CAD PROJEKT PLUS, s.r.o., která zhotovila projektovou dokumentaci ve stupni pro společné povolení včetně inženýrské činnosti do konce roku 2023 a do března 2024 zpracovala dokumentaci pro provádění stavby a rozpočet. Náklady na pořízení PD jsou ve výši 329 241 Kč.
Rok 2024:
Ze zpracované dokumentace vyplývá, že v rámci nové lokality vznikne 666 urnových schránek v kolumbáriích a 61 urnových hrobů. Celková kapacita rozšířeného areálu je 727 míst.
Dokumentace zároveň řeší oplocení lokality, nový průchod v obvodovém zdivu z areálu stávajícího hřbitova, zpevněné plochy, osvětlení, sadové úpravy, vodní prameníky a mobiliář. V rámci akce bude provedena i vynucená přeložka sdělovacího kabelu společnosti CETIN.
Celkové finanční náklady stanovené v projektové dokumentaci činí 30 910 687 Kč.
V současné době se jedná se společností CETIN a.s. o uzavření smlouvy o přeložce podzemního vedení. Rada města v červnu schválila uzavření této smlouvy. Po uzavření smlouvy bylo požádáno o vydání společného územního a stavebního povolení stavby. Povolení bylo vydáno v září 2024.
Rok 2025:
V rozpočtu města na tento rok bylo vyčleněno 8 mil. Kč na první část. V březnu bylo vyhlášeno výběrové řízení na dodavatele stavby, v dubnu probíhalo vyhodnocení. Z důvodu této akce je nutné přemístit psí loučku, která byla situována na místě určeném k rozšíření. Psí loučka zůstane v této lokalitě u ul. Lidická. V březnu byla provedena přeložka kabelu CETIN.
V květnu byla uzavřena smlouva s vítězným uchazečem - společnost INSTA CZ s.r.o. z Olomouce, která dílo zrealizuje za 24 196 865 Kč.
Stavba byla zahájena začátkem června zemními pracemi a předpokládaný termín dokončení je červen 2026.
Rok 2026:
V rozpočtu města byla na tento rok schválena částka ve výši 16 mil. Kč. V době od 5.1.2026 do 22.2.2026 byla stavba z důvodu nevhodných klimatických podmínek zastavena.
Veřejný přínos
Cílem je zajistit splnění poptávky ze strany občanů po možnosti uložení ostatků příbuzných do urnových hrobů nebo schránek.
Výběrové řízení na zpracování projektové dokumentace
2023
Zpracování projektové dokumentace
září 2023 - březen 2024
Vydání povolení
září 2024
Výběrové řízení na dodavatele stavby
březen 2025
Realizace stavby
červen 2025 - červen 2026
Kolaudace stavby
???