Komunikace k parkovišti v Drozdovicích
Doprava a infrastruktura
Neschválený
Rozpočet
166 000 Kč
Autor
Miloslav Burget
Popis
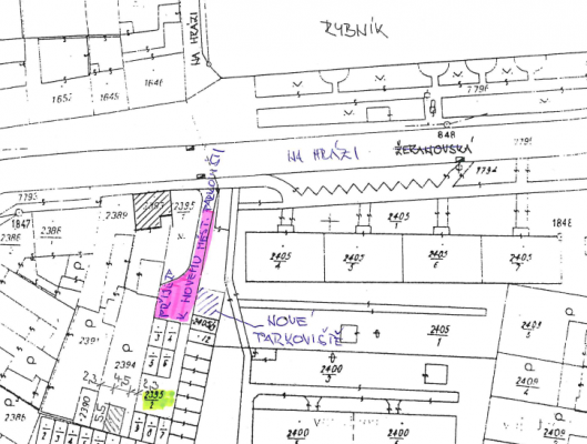
V Drozdovicích u rybníka vybudovalo město Prostějov malé parkoviště a technické služby (FCC) zřídily hnízdo kontejnerů pro recyklované odpady. Jenže k ničemu nebyla vybudována komunikace.
Navrhuji zřídit k uvedeným objektům místní komunikaci (asi ze zámkové dlažby) na části pozemku p.č. 2395/2 v k.ú. Prostějov.
Rozpočet:
- komunikace - 110 m2 x 1200 Kč/m2 = 132 000 Kč
- projektová dokumentace - 5 000 Kč
- DPH 21% 28 770 Kč
CELKEM 165 770 Kč
Veřejný přínos
Velmi by se zlepšilo okolí rybníka a přilehlých zastávek MHD.